-

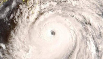
至少备3天应急物资!超强台风“桦加沙”正面来袭!最新路径公布→
中央气象台最新消息 今年第18号台风“桦加沙” 已于9月21日上午 加强为超强台风级 巅峰强度或达到...
欧意交易平台, 2025-09-22 28
-

THPX信号源引领WTIBTC智能交易革新,探索高效投资新路径
在投资的浩瀚宇宙中,一场由THPX信号源引领的智能交易革命正悄然兴起,为WTIBTC交易领域带来了前...
欧意交易官网 2025-08-26 29
-

柳泉录|山东首单碳汇交易背后的沂源生态转化新路径
水土保持碳汇交易,成为践行“绿水青山就是金山银山”一个新路径。 11月13日,沂源县龙子峪小流域水土...
欧意交易平台, 2024-12-30 124
-

国浩律所葛霞青:数字人民币智能合约的法律风险和治理路径
来源:移动支付网 4月18日,苏州市数字金融产业联合会、移动支付网联合主办的“2024第二届数字人民...
欧意交易官网 2024-05-10 134
